Top.Mail.Ru
Управление научными проектами | Электронный кампус

Поиск

Управление научными проектами

Управление НИР
Год внедрения: 2009

Поделиться:

Управление научными проектами

Описание

В системе управления электронным документооборотом (СУЭД) модуль для управления научными проектами может включать различные типы документов, такие как:    

  • Карточка конкурса/коллаборации – документ, содержащий информацию о конкурсе или коллаборационном проекте.

  • Карточка студенческого научно-исследовательского проекта – документ с описанием студенческих проектов.

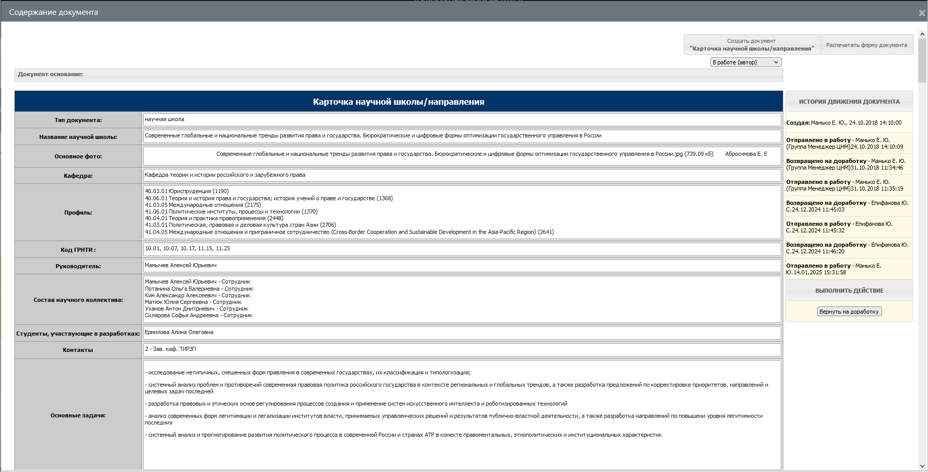
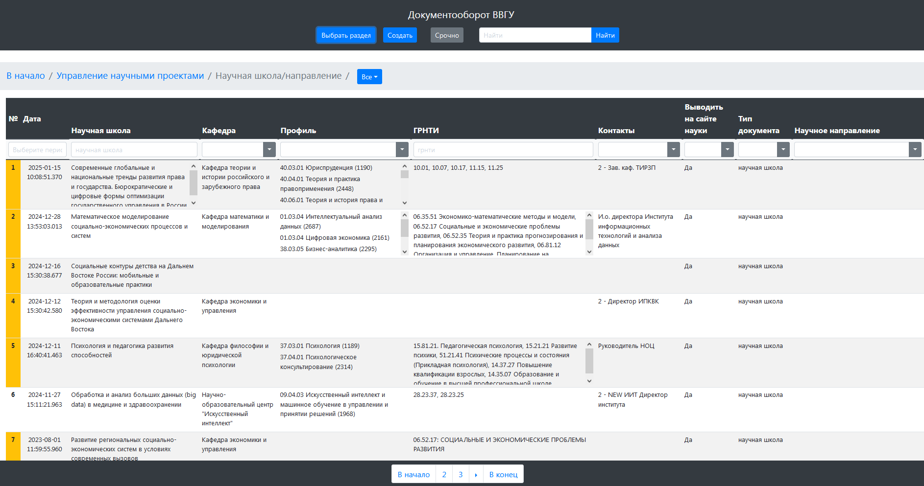
  • Карточка научной школы/направления – описание научных школ или направлений исследований.

  • Поручение по проектам – задание или распоряжение, связанное с управлением проектом.

  • Регистрационная карточка заявки на проект – форма регистрации заявок на участие в проектах.

  • Регистрационная карточка проекта – регистрация самого проекта в системе.

  • и т.п

Каждый вид документа требует настройки маршрута движения через систему, который включает этапы согласования, утверждения, выполнения задач и другие шаги. Маршрут определяет последовательность действий, которые должны быть выполнены над документом, а также ответственных лиц на каждом этапе.

Примерный маршрут для одного из типов документов может выглядеть следующим образом:·       

  • Создание документа: автор создает новый документ (например, заявку на проект).

  • Согласование: документ направляется на согласование ответственному лицу или группе лиц.

  • Утверждение: после согласования документ утверждается руководителем или другим уполномоченным лицом.

  • Исполнение: выполнение задач, связанных с утвержденным документом (например, реализация проекта).

  • Закрытие: завершение работы над документом и его архивирование.

Маршруты могут варьироваться в зависимости от специфики организации и требований к управлению документами.


ИНСТРУКЦИИ

Ответственные за поддержку

Теук Кристина Александровна

Теук Кристина Александровна

Центр цифровых решений
Ведущий программист